lemon-mirror:
Home >> Saturn >> 2002 >> L100 >> Repair and Diagnosis >> Suspension >> Front Suspension >> Diagnostics >> Cause/Complaint Chart

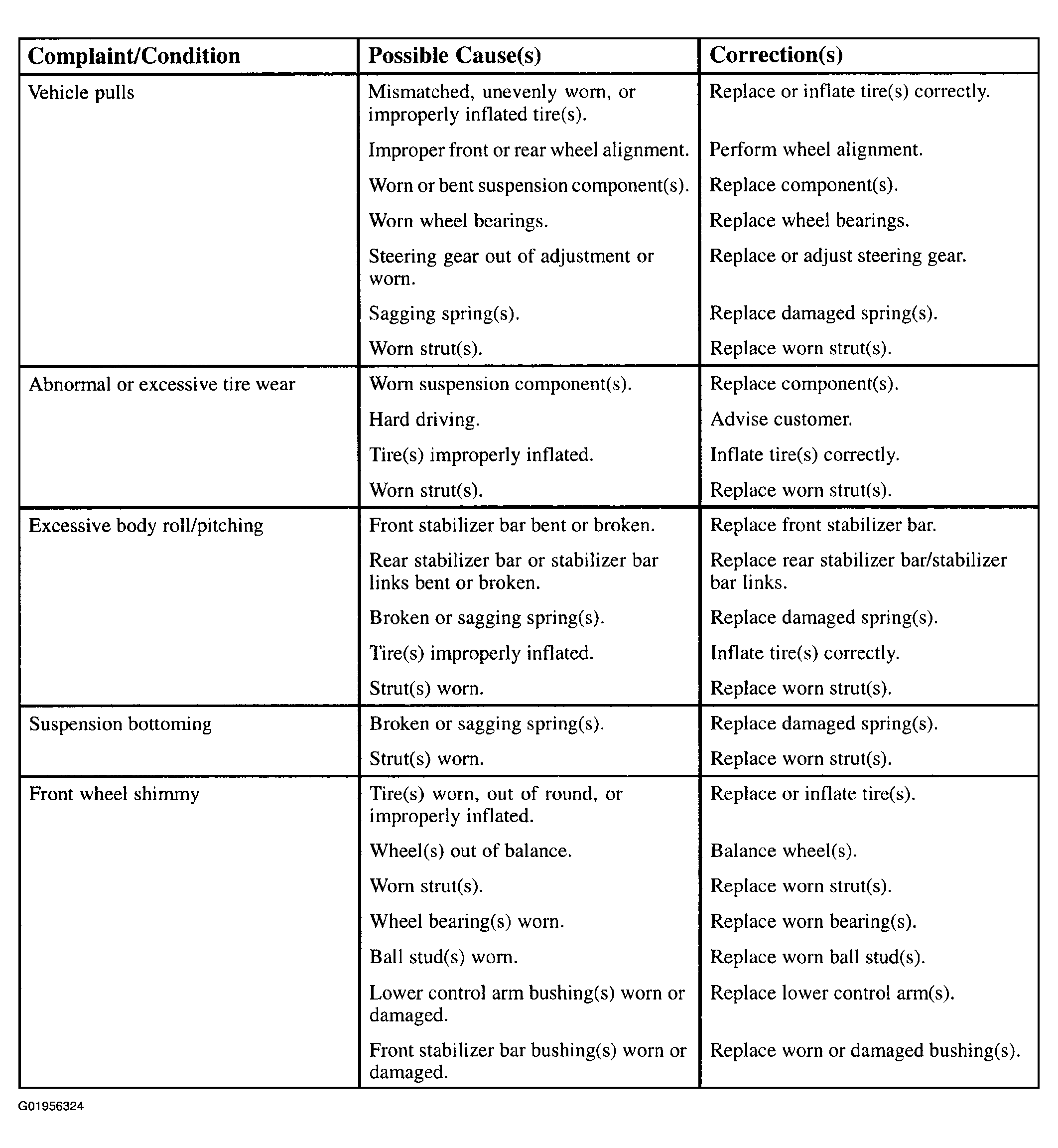
Cause/Complaint Chart

When diagnosing vehicle ride/handling complaints, it is often necessary to treat the vehicle as an entire system, due to the fact that many subsystems (such as the front and rear suspensions, steering, tires and wheels) can contribute to ride/handling problems. Because of this, comprehensive ride/handling problem diagnosis must consider all these systems. Once a diagnosis has been made, reference the appropriate service manual for further service information.

Fig 1: Cause/Complaint Chart
G01956324Courtesy of GENERAL MOTORS CORP.